Ακουστικό φάσμα ενός drone και αν μπορούμε να τους χρησιμοποιήσουμε για να τον εντοπισμό τους Α μέρος.
Γράφει ο Γεώργιος Δικαίος στις 9 Οκτωβρίου 2025
Το διαδίκτυο είναι γεμάτο με ηχογραφήσεις από το βουητό των τετρακόπτερων, το ουρλιαχτό των γερανιών που πλησιάζουν και το κροτάλισμα των Orlans. Αυτές οι ηχογραφήσεις είναι σε συμπιεσμένη μορφή MP3 ή παρόμοια, η οποία μπορεί να χάσει κάποιες λεπτομέρειες λόγω συμπίεσης δεδομένων, αλλά για απλούς σκοπούς προβολής, είναι απολύτως επαρκείς.
Θα ακολουθήσει το δεύτερο μέρος, γίνετε ο εντοπισμός των drones με την ακουστική τους υπογραφή:
https://topwar-ru.translate.goog/240804-akusticheskij-spektr-bespilotnika.html?_x_tr_sl=ru&_x_tr_tl=el&_x_tr_hl=el&_x_tr_pto=sc
Ας ξεκινήσουμε με την καταγραφή με τετρακόπτερο
Το σήμα καταγραφής στο χρονικό πεδίο (αυτό είναι που μπορεί να φανεί σε έναν παλμογράφο) φαίνεται, όπως πάντα, μάλλον ασαφές.
Σε μεγαλύτερη μεγέθυνση, δείχνει μια ασταθή περιοδικότητα του συνολικού πλάτους.

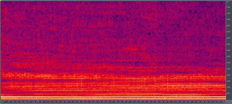
Αλλά για να καταλάβετε πραγματικά τι υπάρχει μέσα, πρέπει να κοιτάξετε τη φασματική εικόνα. Σε γενικές γραμμές, μοιάζει με αυτό.

Ο οριζόντιος άξονας αντιπροσωπεύει τον χρόνο, ο κάθετος άξονας αντιπροσωπεύει τη συχνότητα και η φωτεινότητα είναι το πλάτος του σήματος σε μια δεδομένη συχνότητα σε μια δεδομένη στιγμή.
Εδώ βλέπουμε μια συστάδα παράλληλων γραμμών σε ίση απόσταση. Αυτές είναι οι αρμονικές του ηχητικού σήματος. Η απόσταση μεταξύ τους σε τέτοια σήματα ονομάζεται θεμελιώδης τόνος. Σαφώς, ο θεμελιώδης τόνος είναι κάποιο γινόμενο της ταχύτητας του κινητήρα και του αριθμού των πτερυγίων της προπέλας, πιθανώς επηρεασμένο και από την αλληλεπίδραση γειτονικών πτερυγίων της προπέλας. Μπορείτε να δείτε πώς αλλάζει η ταχύτητα του κινητήρα κατά τους ελιγμούς. Αν αναλύσουμε το φασματογράφημα, μπορούμε να δούμε τα ακόλουθα σε μια συγκεκριμένη ενότητα.

Υπάρχει κάποια σύγχυση εδώ. Είτε υπάρχει ένας ισχυρός διαχωρισμός μεταξύ των άρτιων και των περιττών αρμονικών στην αριστερή πλευρά, είτε έχει προκύψει κάτι που μοιάζει με υποαρμονικές.
Περαιτέρω φασματική ανάλυση μπορεί να πραγματοποιηθεί είτε για να αυξηθεί είτε για να μειωθεί η ανάλυση συχνότητας. Στην πρώτη περίπτωση, αυτό θα αποφέρει καλύτερη ανάλυση συχνότητας εις βάρος της χρονικής ανάλυσης. Το αντίστροφο αποτέλεσμα είναι επίσης πολύτιμο. Με αυξημένη ανάλυση συχνότητας, είναι σαφές πώς ελίσσεται το ελικόπτερο λόγω μιας ανισορροπίας στις στροφές του κινητήρα, η οποία εκδηλώνεται με τη διάσπαση των ζωνών συχνοτήτων.

Μειώνοντας την ανάλυση συχνότητας, μπορούμε να δούμε καλά τις χρονικές λεπτομέρειες.

Μπορεί να φανεί ότι τα αρμονικά πλάτη τρεμοπαίζουν.
Ακουστικό ίχνος "Γερανιών"
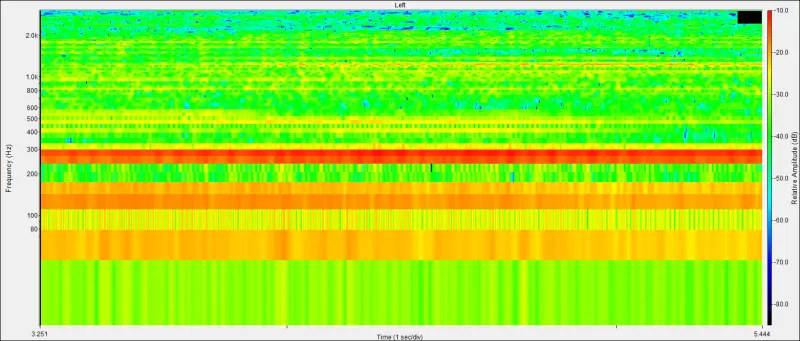
Εδώ βλέπουμε ένα φασματογράφημα υψηλής συχνότητας της προσέγγισης και της τελικής κατάδυσης του drone .

Υπάρχουν πολλά ενδιαφέροντα πράγματα στην εικόνα. Αρχικά, η απόσταση μεταξύ των φασματικών κορυφών είναι 113 Hz (πριν από το τμήμα με την μύτη προς τα κάτω) και η θεμελιώδης κορυφή συχνότητας είναι αόρατη λόγω του φιλτραρίσματος του σήματος του μικροφώνου του κινητού τηλεφώνου. Αυτή η συχνότητα είναι το γινόμενο των στροφών του κινητήρα, του αριθμού των κυλίνδρων, του συντελεστή χρονισμού της εξάτμισης και του κύκλου του κινητήρα.

Αξίζει να σημειωθεί ότι οι άρτιες αρμονικές έχουν μεγαλύτερο πλάτος από τις περιττές.
Όσοι έχουν εμπειρία στην ηλεκτρονική θα πρέπει να κατανοήσουν ποια περιοδικά σήματα παράγουν αιχμές στις άρτιες αρμονικές.
Η αύξηση της χρονικής ανάλυσης (και η μείωση της συχνότητας ανάλυσης) αποκαλύπτει ότι τα πλάτη των αρμονικών είναι ασταθή.

Αν μπορούσαμε να ανιχνεύσουμε την προσέγγιση ενός τέτοιου drone, θα έπρεπε να το κάνουμε χρησιμοποιώντας το τμήμα χαμηλών συχνοτήτων του φάσματος, καθώς εκεί συγκεντρώνεται το μεγαλύτερο μέρος της ενέργειας του κινητήρα. Τα αυτιά μας είναι εξαιρετικά μη ευαίσθητα σε αυτό το εύρος συχνοτήτων. Επίσης, τα μικρόφωνά μας προφανώς δεν έχουν σχεδιαστεί για λειτουργία υψηλών συχνοτήτων κοντά σε υπόηχους.
Εν τω μεταξύ, ο ήχος σε αυτές τις συχνότητες υφίσταται ελάχιστη εξασθένηση και μπορεί να ταξιδέψει σε μεγάλες αποστάσεις (οι ελέφαντες και οι φάλαινες το γνωρίζουν καλά αυτό).
Λοιπόν, ας ρίξουμε μια ματιά στον Όρλαν.
Και εδώ ξεχωρίζουν οι άρτιες αρμονικές του βασικού τόνου, στην προκειμένη περίπτωση στα 68 Hz. Είναι ελαφρώς μεγαλύτερες από τις άρτιες, τουλάχιστον στην περιοχή των χαμηλότερων συχνοτήτων.

Το μάλλον πλούσιο φάσμα εδώ εξηγείται από το γεγονός ότι η καταγραφή έγινε πριν από την απογείωση του drone, στην άκρη ενός δάσους και σε μικρή απόσταση. Ολόκληρο το ανώτερο μέρος του φάσματος δεν είχε ακόμη προλάβει να εξατμιστεί.

Η αξία αυτής της καταγραφής έγκειται στο ότι η πρώτη αρμονική δεν έχει φιλτραριστεί.
Χρησιμοποιώντας μια λογαριθμική κλίμακα συχνότητας, μπορεί να απομονωθεί το χαμηλότερο τμήμα του φάσματος.

Εδώ, οι διακυμάνσεις στο πλάτος της πρώτης αρμονικής (68 Hz) μπορούν να εξηγηθούν από τη λειτουργία του ελεγκτή στροφών του κινητήρα του drone.
Μερικά συμπεράσματα
1. Η ιδέα της ανίχνευσης πτήσεων drones με βάση τα ακουστικά σήματα που εκπέμπουν υπάρχει εδώ και αρκετό καιρό. Πρόσφατα, υπήρξαν αναφορές ότι ένα τέτοιο δίκτυο 8.000 κινητών τηλεφώνων έχει δημιουργηθεί και λειτουργεί στην Ουκρανία. Δεν είναι καθόλου βέβαιο ότι αυτό το ουκρανικό δίκτυο δεν εκτείνεται σε ρωσικό έδαφος. Για παράδειγμα, μπορώ να ανιχνεύσω ιδιαίτερα έντονες ρωσικές αεροπορικές επιδρομές στην Ουκρανία από τον θόρυβο των βαρέων αεροσκαφών τη νύχτα ή το πρωί.
Ενώ δεν έχω αυταπάτες για την αντίσταση των υπολογιστών ή των smartphones στο hacking, είναι δυνατό να εγκατασταθεί συγκεκριμένος κώδικας σε smartphones ήδη από το Google Play. Για παράδειγμα, όλα τα βασικά στοιχεία για την αρχική ακουστική επεξεργασία είναι διαθέσιμα σε δημοφιλείς εφαρμογές φωνητικών μηνυμάτων. Ο περιορισμός της συνεχούς επεξεργασίας σε ένα περιορισμένο εύρος συχνοτήτων έως 1,5–2 kHz δεν θα επιβαρύνει ούτε καν σημαντικά τον επεξεργαστή.
2. Εκτός από την ανίχνευση εχθρικών drones , είναι επίσης εφικτός ο αντίθετος στόχος, δηλαδή η μείωση της ακουστικής υπογραφής των drones μας. Για παράδειγμα, στην ηλεκτρονική, όταν είναι αδύνατο να μειωθεί το πλάτος των φασματικών γραμμών, μπορεί κανείς να προσπαθήσει να το κηλιδώσει και να μειώσει τις ιδιότητες με τις οποίες θα γίνει η σύζευξη.
3. Το τι μπορεί να εξαχθεί από όλα τα παραπάνω εξαρτάται σε μεγάλο βαθμό από αυτούς που το κάνουν. Το αναφέρω αυτό επειδή από το 1983 έως το 2012, εργάστηκα σε ερευνητικά ινστιτούτα και γραφεία σχεδιασμού και έγινα μάρτυρας της πραγματικότητας εκεί, όπου οι ντόπιοι αδίστακτα και ανόητα έκλειναν προϋπολογισμούς.
Τώρα εργάζομαι για μια μεγάλη ιδιωτική εταιρεία. Κατά καιρούς, αυτός ο κολοσσός - η εταιρεία μας - εμπλεκόταν σε αρκετά μη τετριμμένα τεχνικά ζητήματα και προβλήματα... Σε αυτές τις στιγμές, ο χρόνος άρχισε να μετράει. Στα αρχικά στάδια της επίλυσης τέτοιων πολύπλοκων προβλημάτων, ο τρόμος ήταν σαφώς ορατός στα μάτια των εμπλεκομένων ειδικών...
Αλλά ακριβώς τέτοιες εργασίες προσφέρουν μια μεγάλη ευκαιρία σε όσους μπορούν να λύσουν προβλήματα γρήγορα, αποτελεσματικά και με υψηλή ποιότητα.
Αναμένουμε τα σχόλιά σας στο Twitter!